Summit Pointe Final Plat

Plat
Summit Pointe

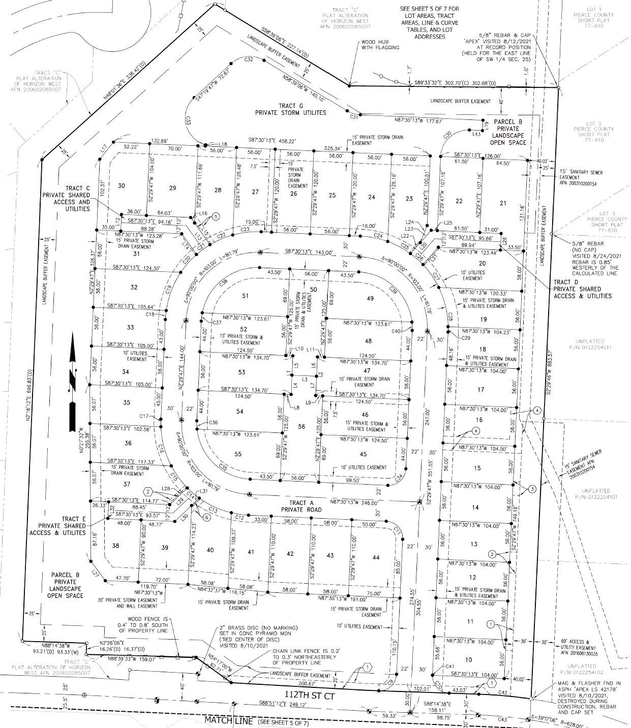
Summit Pointe Preliminary Plat proposal consists of a subdivision of approximately 16.71 acres of vacant property into 56 single family residential lots located within the R-2 (medium-density residential) zone district. The current parcel configuration includes three parcels with frontage on 112th Ct. St. The project will be served by public water and sanitary sewer service. Proposed development improvements will include the creation of a private road off of 112th St. that will serve as access to the subdivision.

The SEPA Threshold Determination was issued September 13, 2023. 

This project was heard before the Hearing Examiner Tuesday, November 7, 2023, a decision was issued November 13, 2023.

Application for Final Plat was submitted July 10, 2025 and deemed complete August 6, 2025. 

Site


Staff Contact

Jeremy Hammar, Senior Planner
* email Jeremy