Gig Harbor North Annex Short Plat

Permit Number: PL-SPP-25-0003

Applicant: The Rush Company

Permit Type: Type II – Preliminary Short Plat

________________________________________

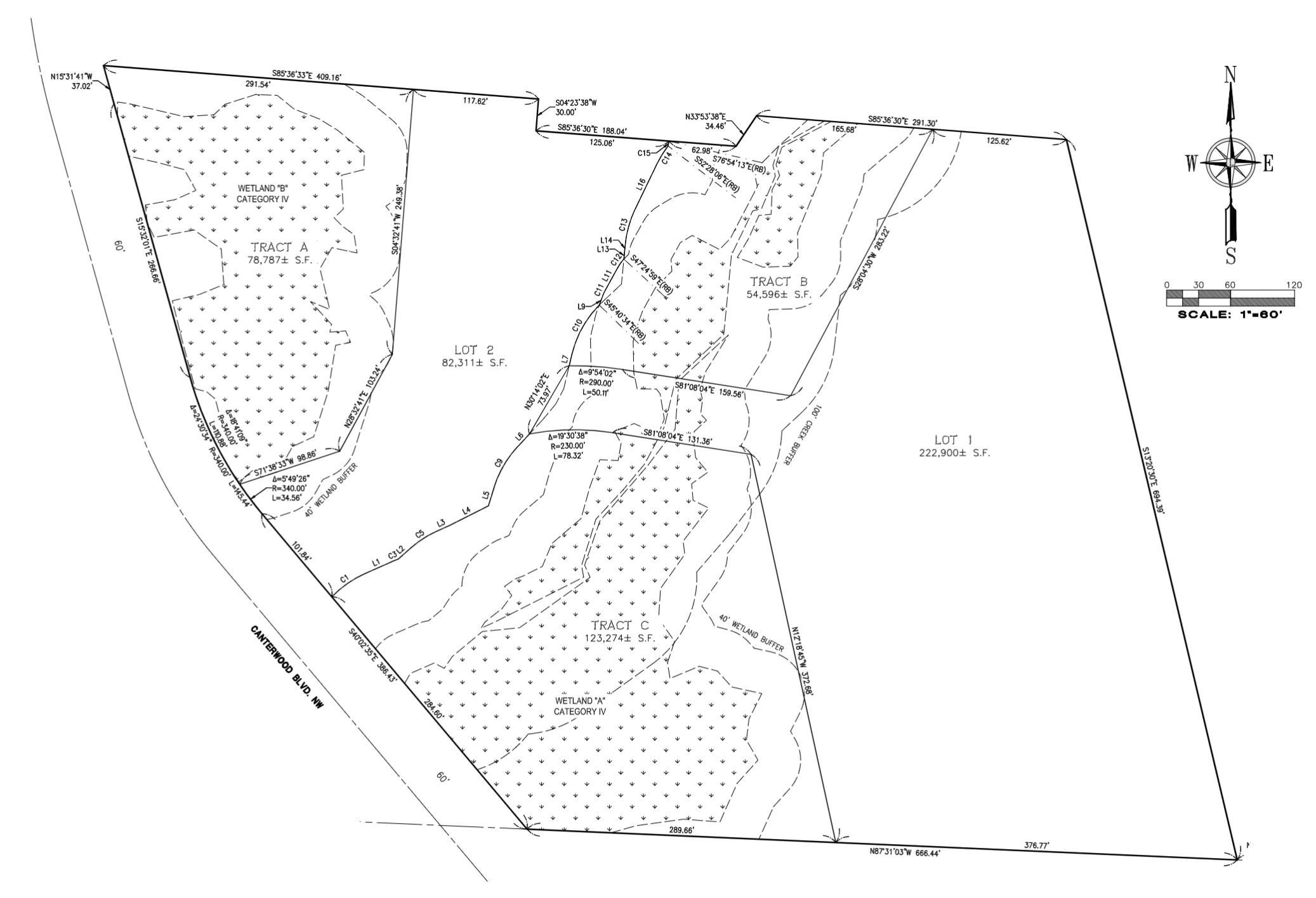
Project Overview

The City of Gig Harbor is reviewing a proposal from The Rush Company to reconfigure three existing vacant parcels located in the Residential and Business District (RB-2). The proposed short plat would create two development parcels and three open space tracts, allowing for future development while establishing areas reserved for open space and site buffering.

________________________________________

Project Location

Address: 11311 Canterwood Blvd

Parcel Numbers: 0122254051, 0122254072, 0122254073, 0122254074

The site is located on the east side of Canterwood Boulevard, approximately 530 feet north of the Burnham Drive roundabout.

________________________________________

Application Timeline

• Initial Application Submitted: September 15, 2025

• Notice of Completion Issued: October 23, 2025

• Notice of Application Issued: November 6, 2025

________________________________________

What Is Proposed?

The project proposes the following:

• Subdivision of four existing parcels into two buildable lots

• Creation of three open space tracts

• No development construction is proposed at this stage—this application pertains only to the short plat of the property

________________________________________

Environmental Review

The following environmental documents were submitted as part of the review process:

• Habitat Assessment Memo

• Sewer Hydraulic Report

• Water Hydraulic Report

• Wetland Verification Memo

These documents will be evaluated as part of the City’s environmental and technical review of the proposal.

________________________________________

Project Status

The application is currently under review by City staff. Comments from reviewing departments and agencies will be considered as part of the decision-making process. Once a decision is issued, it will be posted on this webpage.

________________________________________


Questions regarding this project?
Contact Senior Planner, Nestor Guevara 
                Email: NGuevara@gigharborwa.gov

Public Comments can be sent to   PlanningComments@gigharborwa.gov 

SPP-25-0003
Site